Read the latest news from regional and global sources, presenting different voices and perspectives.
How Hurricane Melissa could affect weather in the UK
A house with a damaged roof is seen after the passage of Hurricane Melissa in Manchester, Jamaica(Image: AFP via Getty Images) The Met Office has warned remnants of what will then be ex-Hurricane Melissa will influence the UK’s weather next week....
Bryan Norcross: Devastation in Jamaica, Cuba and Haiti as Melissa swipes at Bermuda tonight
FOX Weather is your Hurricane HQ. (FOX Weather) Updated at 9 a.m. ET on Thursday, Oct. 30, 2025 Communication systems are down, so we still don't know the total breadth and depth of the catastrophe in Jamaica. But what we know is horrible. The...
Hurricane Melissa hitting Jamaica reveals a cruel irony about climate change
Black River, Jamaica, was the first spot on the island to be electrified, back in 1893. After Hurricane Melissa tore through this week, much of the island is in the dark, and according to Prime Minister Andrew Holness, Black River has been...
NBC6 and Telemundo 51 weather teams honored with CLEO Institute's Circle of Change Award
The CLEO Institute on Thursday is honoring NBC6 hurricane specialist John Morales and the entire First Alert Weather team, along with Telemundo 51's meteorologists, with its highest recognition, the Dr. F. Lynn Leverett Circle of Change Award. “At...
Hurricane Melissa now threatens Cuba after devastating Jamaica
Hurricane Melissa continues its path through the Caribbean and now threatens Cuba after leaving a devastating impact on Jamaica With sustained winds of over 220 km/h and torrential rains, the phenomenon remains a category 4 hurricane, according to...
At least 28 dead after Hurricane Melissa devastates Jamaica, Haiti and Cuba
People across the northern Caribbean are beginning to dig out from the destruction of Hurricane Melissa, as deaths from the catastrophic storm climbed to at least 28 across Haiti, Jamaica and the Dominican Republic, with Haiti reporting most of...
Two Cuban victories for life
"These days have been very challenging, very tense, but also very instructive and very illustrative of the power of unity and the mobilizing and unifying capacity of our Party at the forefront of the Revolution." "The danger has not yet passed....
Weather: Category 5 Hurricane Melissa brings death & destruction to Jamaica
The island nation of Jamaica is bracing for what could be its worst storm in living memory as the enormous Category 5 Hurricane Melissa moves slowly towards them. Three people are already dead as the Hurricane approaches the island early this...
Magnolia Three-Day Weather/Sky Report: First frost possible
The National Weather Service in Shreveport says that there’s a 45 percent chance the Magnolia area will receive its first frost of the season overnight Thursday. Colder overnight temperatures, light winds and clear skies may make Friday morning...
Cuba Declares Hurricane Alarm as Melissa Approaches
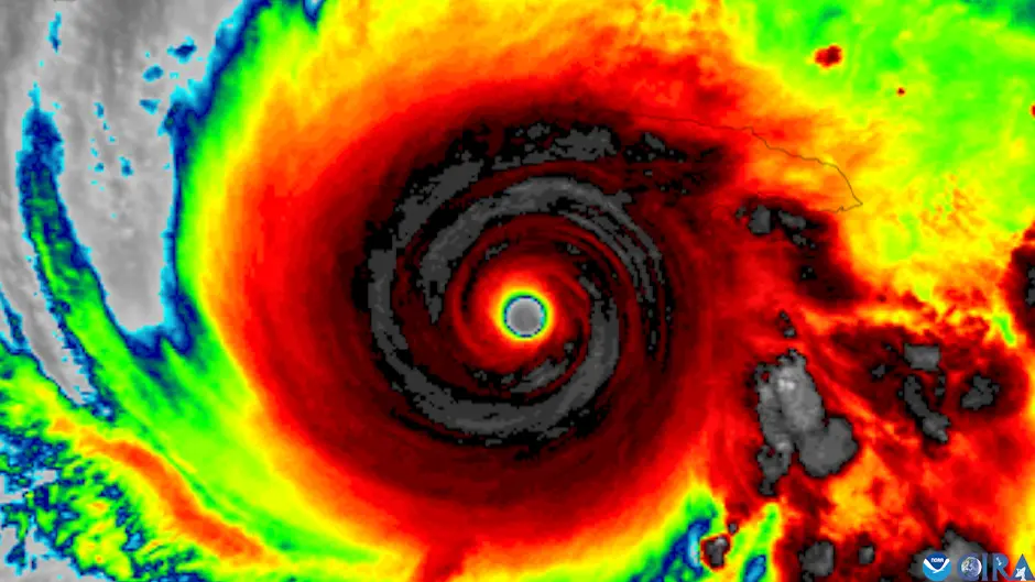
Hurricane Melissa seen from space on October 27, 2025. X/ @AlertaMundoNews October 27, 2025 Hour: 1:52 pm On Monday, Cuban Civil Defense declared a “Cyclonic Alarm Phase” for the provinces of Guantanamo, Santiago de Cuba, Holguin, Granma, Las...
Rubio says US is ready to offer 'immediate humanitarian aid' to people of Cuba impacted by Hurricane Melissa
Aerial footage shows homes destroyed in Jamaica following the passage of Hurricane Melissa. (Credit: APTN) NEWYou can now listen to Fox News articles! Secretary of State Marco Rubio declared Thursday that the U.S. is "prepared to offer immediate...
India dispatches aid to Hurricane Melissa-ravaged Caribbean nations
New Delhi: India reaffirmed its solidarity with its Global South Partners on Tuesday, sending 20 tonnes each of Humanitarian Assistance and Disaster Relief (HADR) items to Jamaica and Cuba to aid in recovery operations following Hurricane Melissa....
Weather Talk: Take a closer look at Hurricane Melissa
Weather Talk: Hurricane Melissa to bring threatening storm surge, catastrophic flooding NATIONAL HURRICANE CENTER. TONI, WHAT ARE YOU SEEING? HEY, GUYS. YEAH, THIS HAS BEEN A PRETTY AMAZING STORM, IF YOU REMEMBER, JUST A COUPLE OF DAYS AGO, IT WAS...
Haiti, Jamaica, Cuba dig out of widespread destruction after deadly Hurricane Melissa
SANTIAGO DE CUBA, Cuba (AP) — People across the northern Caribbean were digging out from the destruction of Hurricane Melissa on Thursday as deaths from the catastrophic storm climbed. The rumble of large machinery, the whine of chainsaws, and the...
Hurricane Melissa and the Extreme Vulnerability of Cubans
For many victims, the hurricane will be the final blow that plunges them into misery. For many victims, Hurricane Melissa will be the final blow that plunges them into misery. / EFE 14ymedio, Yoani Sánchez, Generation Y, 29 October 2025 —...
Jamaica’s Strength And Climate Truth Shine After Hurricane Melissa
TOPSHOT - An aerial view of destroyed buildings following the passage of Hurricane Melissa, in Black River, St. Elizabeth, Jamaica on October 29, 2025. Hurricane Melissa bore down on the Bahamas October 29 after cutting a path of destruction...
Cat. 2 Hurricane Melissa to bring stormy weather to Bermuda before weakening more at sea
Hurricane Melissa is set to bring hurricane conditions to Bermuda Thursday night as it passes west of the island, according to forecasters with the National Hurricane Center in Miami. Melissa was a Category 2 storm with sustained winds of 105 mph...
How Hurricane Melissa Exploded Into a Monster
BYLINE: Robert C. Jones, Jr. Newswise — The turbulence tossed the P-3 Orion around like a toy. Harnessed in his seat aboard the four-engine turboprop, University of Miami tropical cyclone researcher Andy Hazelton struggled to process the...
Summit or No Summit, That is the Question
The announcement of the suspension (postponement) of the 10th Summit of the Americas has not made many headlines in the regional press, nor has it caused any surprises among observers of international affairs or prompted statements from many...
Met Office explains how Hurricane Melissa could affect the weather in Wales
Satellite image of Storm Melissa Hurricane Melissa has become a defining feature of this week’s weather landscape as it wreaked havoc in the Caribbean. Dozens have died amid widespread destruction across Cuba, Haiti and Jamaica, where roofless...